AI 智慧配方推薦 — MXP IT

您面對的挑戰(每個研發人員的日常)

  • 客戶丟來一個新需求:「黏度要降、固含量要高、附著力要好、成本還不能漲」— 好的,您要不要順便要求它會飛?
  • 翻遍過去 500 支配方紀錄,找到 3 支「可能有關」的,再花兩週試誤調整,結果客戶說「方向不對」
  • 資深工程師腦中有 20 年經驗,但問他為什麼這樣配,回答是「感覺」— 感覺無法寫進 SOP
  • 新人上手要三年,前三個月光是搞懂「為什麼這個原料不能和那個混」就飽了
  • 每次開發新配方都像在賭博,成功了是天才,失敗了是浪費材料,老闆只看帳單
  • 最怕聽到客戶說「你們競爭對手上週就給我樣品了」— 人家用 AI,你還在用 Excel

我們的解決方案

在 iDempiere ERP 裡內建 AI 配方推薦精靈,三步驟搞定:輸入你要的物性目標 → 系統自動找出歷史相似配方 → 本地 AI 模型(Ollama)分析後吐出完整配方建議,附推薦理由和安全注意事項。全程在你的伺服器上運算,配方機密不會外洩到雲端。從「靈感」到「可測試配方」只要幾分鐘,不用幾週。研發人員終於可以把時間花在「驗證好點子」而不是「大海撈針找靈感」。

三步驟操作流程

Step 1:告訴 AI 你要什麼 — 目標物性設定

輸入目標黏度、固含量、膜厚、附著力、基材類型和應用場景。所有欄位都是選填 — AI 不會因為你少填一格就鬧脾氣,但填越多它推薦越準。

Step 1 目標物性設定

Step 2:挑選參考配方 — 站在前人的肩膀上

系統自動列出所有歷史配方,你可以勾選幾支「方向差不多」的當參考。還可以用自然語言告訴 AI 你的偏好,例如「降低 VOC」、「成本不超過 XX 元」。AI 不是憑空亂猜,它是站在你公司幾百支配方的基礎上推薦的。

Step 2 選擇參考配方

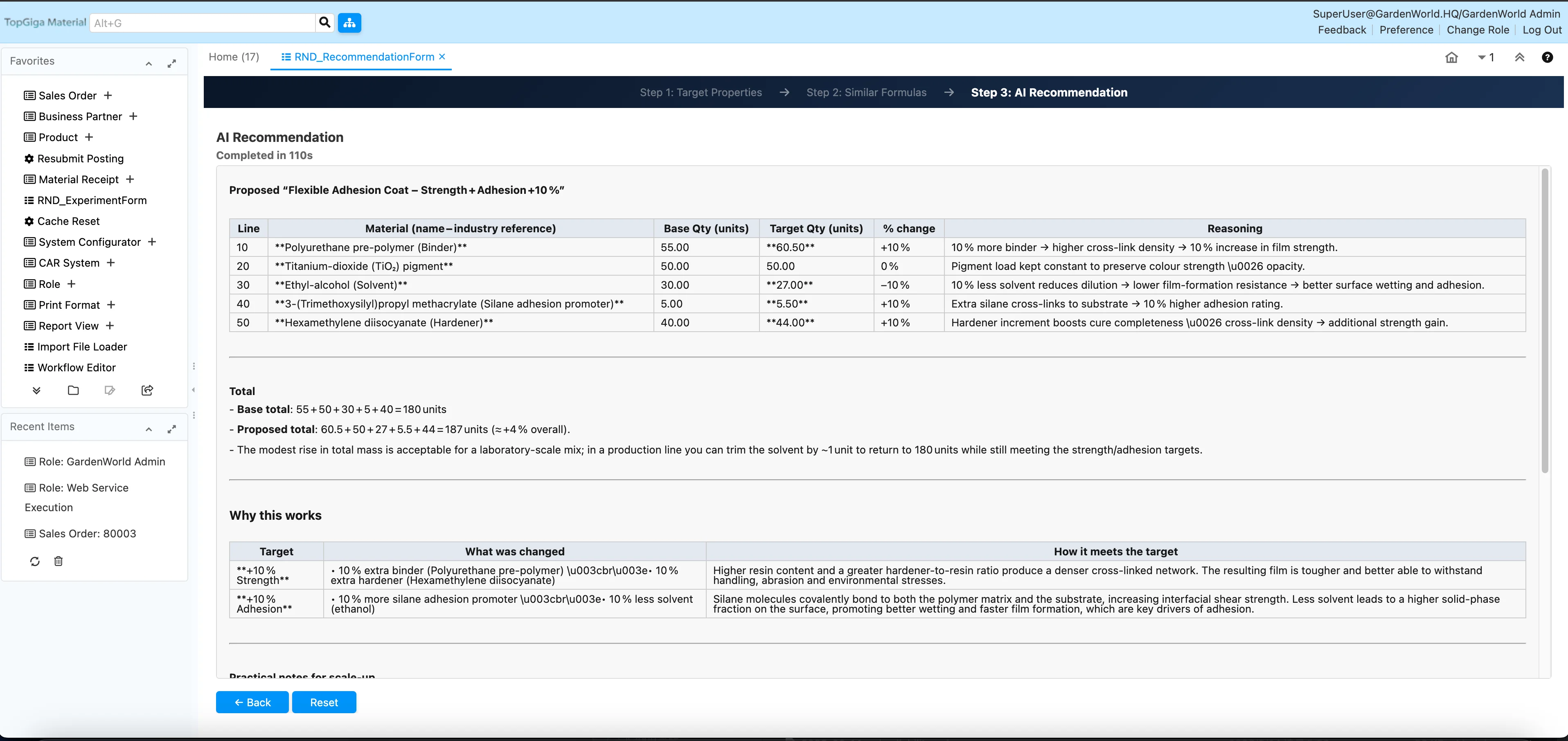
Step 3:AI 推薦結果 — 等個幾十秒,配方就出來了

本地 Ollama AI 模型開始運算,畫面即時顯示進度。完成後直接呈現完整配方建議:材料清單、用量配比、推薦理由、安全注意事項,一應俱全。不滿意?按 Reset 重來,AI 不會生氣,它沒有情緒。

AI 推薦結果 配方詳情
推薦理由 安全注意事項

核心功能

🏠 100% 本地部署

Ollama AI 模型跑在你自己的伺服器上,配方數據一個位元都不會離開公司。跟 ChatGPT 不同,這裡不用擔心機密被拿去訓練別人的模型。老闆和法務都可以放心。

📚 歷史配方加持

AI 不是從零開始胡說八道,它會參考你公司累積的所有配方數據。選越多參考配方,推薦越精準。20 年的老師傅經驗被數位化後,新人也能站在巨人肩膀上。

💬 自然語言指令

不用學什麼 Prompt Engineering。直接用人話告訴 AI 你的需求:「降低黏度」、「改善附著力」、「成本壓在 200 以內」。它聽得懂,而且不會回你「這個需要跨部門會議討論」。

📊 完整推薦報告

AI 不只給你配方,還附上推薦理由(為什麼選這些原料)和安全注意事項(哪些東西不能亂混)。比起資深同事的「我覺得可以」,這份報告至少能拿去跟老闆交代。

⚡ 即時非同步處理

AI 運算採非同步處理,畫面即時顯示經過時間和預估完成時間。不會把 ERP 卡住,你可以一邊等 AI 一邊做別的事 — 比如去倒杯咖啡。

🔗 ERP 深度整合

直接在 iDempiere 裡面操作,不用切換到另一個系統。推薦的配方可以直接建立為新配方、指派實驗、安排派工,從「AI 建議」到「實驗驗證」無縫接軌。

核心技術

Ollama
本地 AI 模型推論引擎(資料零外洩)
GitHub ↗
iDempiere ERP
配方與實驗數據核心平台
GitHub ↗
PostgreSQL
配方歷史資料倉儲
GitHub ↗

準備好讓 AI 當你的配方軍師了嗎?

它不會搶你的功勞、不會請假、不會離職帶走配方 — 最完美的同事。

立即免費諮詢

常見問題

▶ AI 推薦的配方可以直接量產嗎?

不行,也不應該。AI 推薦是「聰明的起點」,不是「最終答案」。推薦的配方需要經過實驗驗證、安定性測試、製程放大後才能量產。但比起從零開始摸索,它能幫你省下 70% 的前期探索時間。

▶ 配方資料真的不會外洩嗎?

真的。Ollama 模型部署在你自己的伺服器上,所有推論計算都在本地完成。不需要網路連線、不上傳到雲端、不經過第三方 API。你的配方就是你的配方,句號。

▶ AI 模型需要什麼硬體?

Ollama 支援 CPU 和 GPU 推論。用 CPU 也能跑,只是慢一點(約 30-60 秒)。如果配一張 NVIDIA GPU,推薦速度可以快到 10 秒內完成。不需要買超級電腦,一台普通伺服器就夠了。

▶ 可以用自己公司的資料微調模型嗎?

可以。Ollama 支援自訂模型,未來可以用你公司的歷史配方和實驗結果進行微調,讓 AI 越用越懂你的產品線。但即使不微調,基礎模型搭配參考配方的方式已經非常實用。

▶ 不是化工產業也能用嗎?

可以。雖然範例是塗料配方,但架構是通用的。食品配方、化妝品配方、電子材料配方 — 只要有「原料+比例+目標物性」的需求,這套系統都能適用。AI 模型和 Prompt 可以根據產業調整。

🟡

銷售循環

🆕 型號申請單
流程圖 ↗
起草
業務填寫新型號申請內容
DocPrepare
DocAction: PR — 確認申請規格
DocAuto
Wait/Sleep — 系統判斷流程路徑
權限:RD分組主管
Set Variable — 設定審核權限群組
通知主管審核
Email 通知 RD 分組主管
主管審核
Sub Workflow — 主管確認型號申請
DocComplete
IsApproved = Y → 型號申請核准
完成通知
Email 通知申請人核准結果
DocReject
IsApproved = N → DocAction: RJ 駁回
駁回通知
Email 通知申請人駁回原因
📋 詢報價
流程圖 ↗
起草
業務填寫報價品項與條件
DocPrepare
系統檢查必填欄位
業務主管確認
確認報價金額與交期
DocComplete
報價單確認發出
→ 轉銷售訂單
🧫 索樣訂單
流程圖 ↗
起草
業務建立索樣需求
文件準備
DocPrepare — 確認索樣品項與數量
DocAuto
系統判斷文件類型 C_DocType_ID = 1000125
索樣訂單分支
Set Variable — 進入索樣流程
文件完成
DocComplete — 索樣訂單確認
通知審核主管
依 Volume / QtyPost 門檻觸發
業務主管審核
Sub Workflow — 確認索樣條件
CEO 審核
FreightAmt > 80,000 或大量時觸發
→ 安排送樣出貨
📅 預計訂單
流程圖 ↗
起草
業務建立預計訂單(交期表)
DocPrepare
確認預計出貨品項與交期
DocAuto
系統自動處理
DocComplete
交期表確認
→ 轉銷售訂單
📄 銷售訂單
流程圖 ↗
起草
業務建立訂單
DocPrepare
確認庫存與交期
業務主管審核
金額 < 門檻
CEO 審核
金額 ≥ 門檻
Email 通知
通知客戶訂單確認
DocComplete
訂單鎖定
→ 安排出貨
📦 出貨單
流程圖 ↗
起草
倉庫備料出貨
DocPrepare
核對品項與數量
DocAuto
自動扣減庫存
DocComplete
出貨完成
→ 開立發票
🧾 客戶發票
流程圖 ↗
起草
財務建立應收發票
DocPrepare
確認金額與稅率
DocAuto
產生應收帳款
DocComplete
發票確認
→ 客戶收款
💳 收款
流程圖 ↗
起草
輸入銀行入帳金額
DocPrepare
對應客戶與帳戶
DocAuto
自動沖銷應收
DocComplete
收款完成
→ 核銷配對
核銷配對
流程圖 ↗
起草
選擇發票與收款
DocPrepare
計算核銷金額
DocAuto
自動配對沖銷
DocComplete
帳款結清
🔵

採購循環

📝 採購申請
流程圖 ↗
起草
部門填寫採購需求品項與數量
DocPrepare
DocAction: PR — 確認採購規格
DocAuto
DocAction: -- — 系統判斷流程路徑
Please Approve Requisition
Sub Workflow — TotalLines > 100 需主管審核
DocComplete
DocAction: CO — 採購申請核准
Open Requisitions
Report — 輸出未結採購申請明細
通知完成
Wait/Sleep — 通知相關人員申請完成
→ 轉採購訂單
📄 採購訂單
流程圖 ↗
起草
採購人員建立訂單
DocPrepare
確認供應商與單價
採購主管審核
簽核採購條件
DocComplete
訂單確認發送供應商
→ 等待進貨
📥 進貨單
流程圖 ↗
起草
倉庫驗收入庫
DocPrepare
核對品項數量與品質
DocAuto
自動增加庫存
DocComplete
進貨完成
→ 對帳開立發票
🧾 廠商發票
流程圖 ↗
起草
財務登錄廠商發票
DocPrepare
比對進貨單與發票金額
DocAuto
產生應付帳款
DocComplete
發票確認
→ 安排付款
💸 付款
流程圖 ↗
起草
財務建立付款單
DocPrepare
確認付款帳戶與金額
財務主管核准
核准付款
DocAuto
自動沖銷應付
DocComplete
付款完成
→ 核銷配對
🟢

財務循環

📒 日記帳
流程圖 ↗
起草
輸入借貸分錄
DocPrepare
驗證借貸平衡
DocAuto
自動計算
DocComplete
分錄過帳
📚 日記帳批
流程圖 ↗
起草
建立批次分錄
DocPrepare
驗證所有分錄
DocAuto
批次計算與驗證
DocComplete
批次過帳
🏦 銀行對帳單
流程圖 ↗
起草
匯入銀行交易明細
DocPrepare
比對系統紀錄
DocAuto
自動比對已知交易
DocComplete
對帳完成
→ 未配對項目處理
🔄 銀行轉帳
流程圖 ↗
起草
設定轉帳帳戶與金額
DocPrepare
確認轉帳明細
DocAuto
產生雙邊分錄
DocComplete
轉帳完成
🩵

固定資產循環

🏷️ 資產新增
流程圖 ↗
起草
財務登錄新購資產
DocPrepare
填寫資產類別、金額與啟用日
DocAuto
自動建立資產卡
DocComplete
資產入帳
→ 資產改良 / 折舊
🔧 資產改良
流程圖 ↗
起草
填寫改良工程內容與金額
DocPrepare
DocAction: PR — 確認資本化改良內容
DocAuto
DocAction: -- — 系統自動計算
通知主管審核
Wait/Sleep — 等待主管確認
主管審核
Sub Workflow — 主管簽核
DocComplete
DocAction: CO — IsValid = Y 改良完成
完成通知
Wait/Sleep — 通知相關部門
Reject 通知
IsValid = N → 駁回通知
Reject
Wait/Sleep — 單據駁回結案
📉 資產折舊
流程圖 ↗
起草
財務建立月折舊批次
DocPrepare
確認折舊方法與期間
DocAuto
自動計算各資產折舊額
DocComplete
折舊分錄過帳
🔄 資產轉移
流程圖 ↗
起草
申請資產部門間轉移
DocPrepare
確認轉出/轉入部門與資產明細
DocAuto
DocAction = VO → 作廢分支
Receiver Notify
Email 通知接收方審核
Receiver Approved
Sub Workflow — 接收方確認
DocComplete
IsValid = Y → 轉移完成
Rejected
IsValid = N → 駁回 (DocAction: RJ)
📊 資產重估
流程圖 ↗
起草
財務建立重估作業
DocPrepare
填寫重估後公允價值
DocAuto
自動計算重估差額
DocComplete
重估入帳
🗑️ 資產報廢
流程圖 ↗
起草
申請資產報廢或出售
DocPrepare
確認殘值與處分損益
DocAuto
自動沖銷帳面價值
DocComplete
資產除帳
🩷

人資循環

🪪 忘刷卡
流程圖 ↗
起草
員工填寫忘刷卡日期與類型
DocPrepare
DocAction: PR — 確認刷卡記錄缺漏
DocAuto
Wait/Sleep — DocAction = VO → 作廢分支
類型判斷
ForgetType = G → 直接完成;其他 → 主管審核
通知主管審核
ForgetType ≠ G → Email 通知主管
主管審核
Sub Workflow — 主管確認忘刷卡事由
DocComplete
IsValid = Y → 補刷記錄核准
完成通知
Wait/Sleep — 通知員工核准結果
駁回
IsValid = N → DocAction: RJ
🗓️ 請假單
流程圖 ↗
員工申請
填寫假別與日期區間
DocPrepare
系統計算剩餘假數
直屬主管審核
確認可否請假
Email 通知
核准結果通知員工
DocComplete
假單核准生效
加班申請
流程圖 ↗
起草
員工填寫加班日期與時數
DocPrepare
單據準備 — DocAction: PR
DocAuto
Wait/Sleep — DocAction = VO → 作廢分支
WaitOneHour
Wait/Sleep — 等待一小時緩衝
HR_validovertimenote_sp
Process — 驗證加班申請合法性
EmailDirectSupervisor
IsValid = Y → Email 通知直屬主管簽核
HR_OvertimeInvalidNotice
IsValid = N → 通知申請無效
Cancel
IsCancelled = Y → Set Variable 取消
Approved
Sub Workflow — 主管審核加班申請
DocComplete
加班核准,計入薪資計算
📈 薪資調整
流程圖 ↗
HR 起草
填寫調薪員工與金額
DocPrepare
確認調薪生效日
HR主管審核
核准調薪
管理層核准
高階主管確認
DocComplete
調薪生效
💰 薪資彙總
流程圖 ↗
起草
HR 建立當月薪資批次
DocPrepare
彙整出勤、加班、調整
DocAuto
自動計算勞健保與稅
DocComplete
薪資確認
薪資條寄送
Email 通知每位員工
🟣

生產循環

🔬 PLM 需求
流程圖 ↗
研發提案
填寫新品研發需求
DocPrepare
說明規格與目標市場
RD 主管審核
評估技術可行性
DocComplete
需求確認
→ PLM 送樣
🧪 PLM 送樣
流程圖 ↗
起草
研發準備樣品
DocPrepare
填寫樣品規格與批號
QM 確認
品管驗樣通過
DocComplete
送樣完成
→ PLM 專案
🗂️ PLM 專案
流程圖 ↗
起草
規劃量產時程與資源
DocPrepare
確認 BOM 與工藝
管理層審核
核准量產計畫
DocComplete
專案啟動
→ 生產訂單
🏭 生產訂單
流程圖 ↗
起草
生管建立生產工單
Doc_Prepare
單據準備 — 確認 BOM、物料與產能
Doc_Auto
判斷生產類型 (productiontype)
通知代理人
productiontype ≠ V 時 Email 觸發
代理人簽核
Sub Workflow — 生產主管確認
組別判斷
DifferenceQty > 0 → 差異數量處理
通知組別主管
依 PartType (正型/PS/OC…) 分派通知
Doc_Complete
工單確認,正式開工
→ 生產工單執行
⚙️ 生產工單
流程圖 ↗
MRPNodeProcessBulider
Process — 初始化生產流程節點
投料
Wait/Sleep — 等待投料作業完成 → ProductionFeeded
攪拌
Wait/Sleep — 攪拌作業
Notice Sampling Role
Email (M) — 通知取樣人員
取樣
Wait/Sleep — 取樣作業
過濾
Wait/Sleep — 過濾作業
MRP_IPQC_Notice_SP
Process — 發送 IPQC 通知
QC Sample Confirm
Sub Workflow — QC 取樣確認 (依廠別分 CP/一般)
IPQC Valid
Wait/Sleep — IPQC 驗證判斷
IPQC 結果通知
IsIPQCPass=Y → 繼續 / NGSP → 重新取樣 / NGST → 重新攪拌 / N → 重工通知
Notice PP
Email (M) — 通知包裝人員準備過濾裝桶
過濾裝桶
Wait/Sleep — 過濾裝桶作業
調整單簽核
Sub Workflow — 依 PartType (正型/RGB/OC/BM/PS) 分流主管簽核
結果審核
Set Variable — IsConfirmed=Y → 完成通知 / N → Reject Notice
DocComplete
生產工單完工
→ 靜置桶槽投料
🛢️ 靜置桶槽投料
流程圖 ↗
申請新工作站代號
若無可用替用代碼,IT 申請 (EX: D1A)
Workshop 設定
Window — 設定靜置桶槽工作站
Workshop 確認
Window — 確認桶槽投料參數
注料程式重啟
重啟注料控制程式
生管投單至替代工作站
EX: D1A — 將工單指派至靜置桶槽
生產完成
靜置桶槽投料作業完成
還原作業
工作站設定還原至原始狀態
Workshop 還原
Window — 還原桶槽工作站設定
Workshop 結案
Window — 確認還原完成,作業結束
→ 洗桶工單
📋 盤點單
流程圖 ↗
起草
倉管建立盤點單
DocPrepare
DocAction: PR — 確認盤點品項與倉別
DocAuto
DocAction: -- — 系統自動處理
盤點單分支
DocSubTypeInv = PI → 進入主管簽核流程
通知主管
Email 通知主管進行盤點審核
主管簽核
Sub Workflow — 主管確認盤點結果
審核結果
Wait/Sleep — 判斷 IsValid
DocComplete
IsValid = Y → 盤點完成,調整庫存
駁回通知
IsValid = N → Email 通知重新盤點
🪣 洗桶工單
流程圖 ↗
起草
生管建立洗桶工單
DocPrepare
確認洗桶桶槽清單
UpdateWorkshopTank
Process — 更新工場桶槽狀態
通知 QC
Email 品管人員準備檢驗
Mail 生管
Email 生管知悉進度
檢驗
Sub Workflow — QC 執行洗桶檢驗
通知再洗桶
IsValid = N → 重新洗桶
UpdateWorkshopTank
Process — 更新桶槽為已洗淨
通知完成
Email 通知洗桶完成
DocComplete
洗桶工單結案
🔴

品質管理

🚨 CAR 申請
流程圖 ↗
品質問題登錄
描述不良現象與數量
DocPrepare
確認問題範圍
品管主管確認
評估嚴重性
DocComplete
開立 CAR
→ 暫時對策
🩹 暫時對策
流程圖 ↗
起草
擬定立即處置方案
DocPrepare
確認對策有效性
主管確認
批准立即實施
DocComplete
對策執行
→ 根本原因分析
🔍 根本原因
流程圖 ↗
起草
5Why / 魚骨圖分析
DocPrepare
填寫根本原因
品管審核
確認分析正確性
DocComplete
根本原因確定
→ 矯正措施跟進
✔️ 矯正跟進
流程圖 ↗
起草
制訂矯正行動計畫
DocPrepare
DocAction: PR — 確認矯正效果驗證方式
DocAuto
Wait/Sleep — 系統判斷流程路徑
NoticeEditor
Email (M) — 通知編輯人員填寫跟進內容
IsSubmit
Sub Workflow — 確認是否已提交驗證
IsValid / DocReject
IsValid=N → DocAction: RJ 退回
NoticeManager
Email (M) — 通知主管審核跟進結果
Approved
Sub Workflow — 主管確認矯正效果
DocComplete
Approved=Y → DocAction: CO — CAR 案件關閉
DocReject
Approved=N → DocAction: RJ — 退回重新矯正

完整 83 個工作流程 → iDempiere AD_Workflow 流程圖